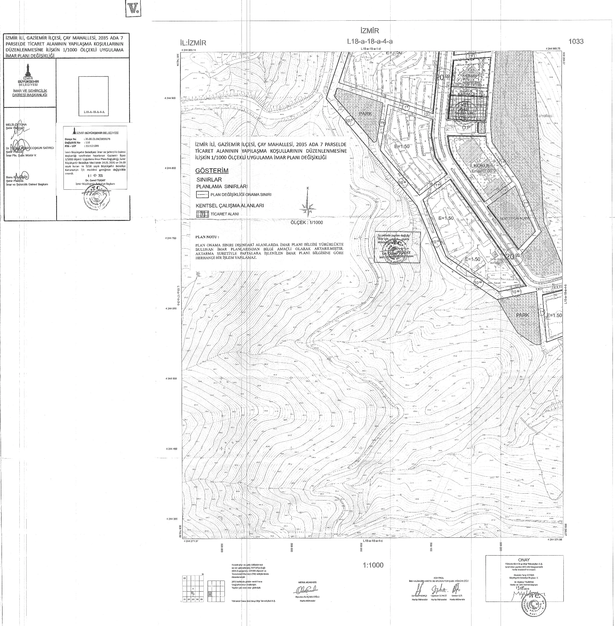
İzmir İli, Gaziemir İlçesi, Çay Mahallesi 2035 ada, 7 parselin yer aldığı Ticaret Alanının yapılaşma koşullarının düzenlenmesine ilişkin hazırlanan Bakanlığın UİP -351121699 plan işlem numaralı 1/1000 ölçekli Uygulama İmar Planı Değişikliği.
Yayın Tarihi
24 Şubat 2026
İzmir İli, Gaziemir İlçesi, Çay Mahallesi 2035
ada, 7 parselin yer aldığı Ticaret Alanının yapılaşma koşullarının
düzenlenmesine ilişkin hazırlanan Bakanlığın UİP -351121699 plan işlem numaralı
1/1000 ölçekli Uygulama İmar Planı Değişikliği.